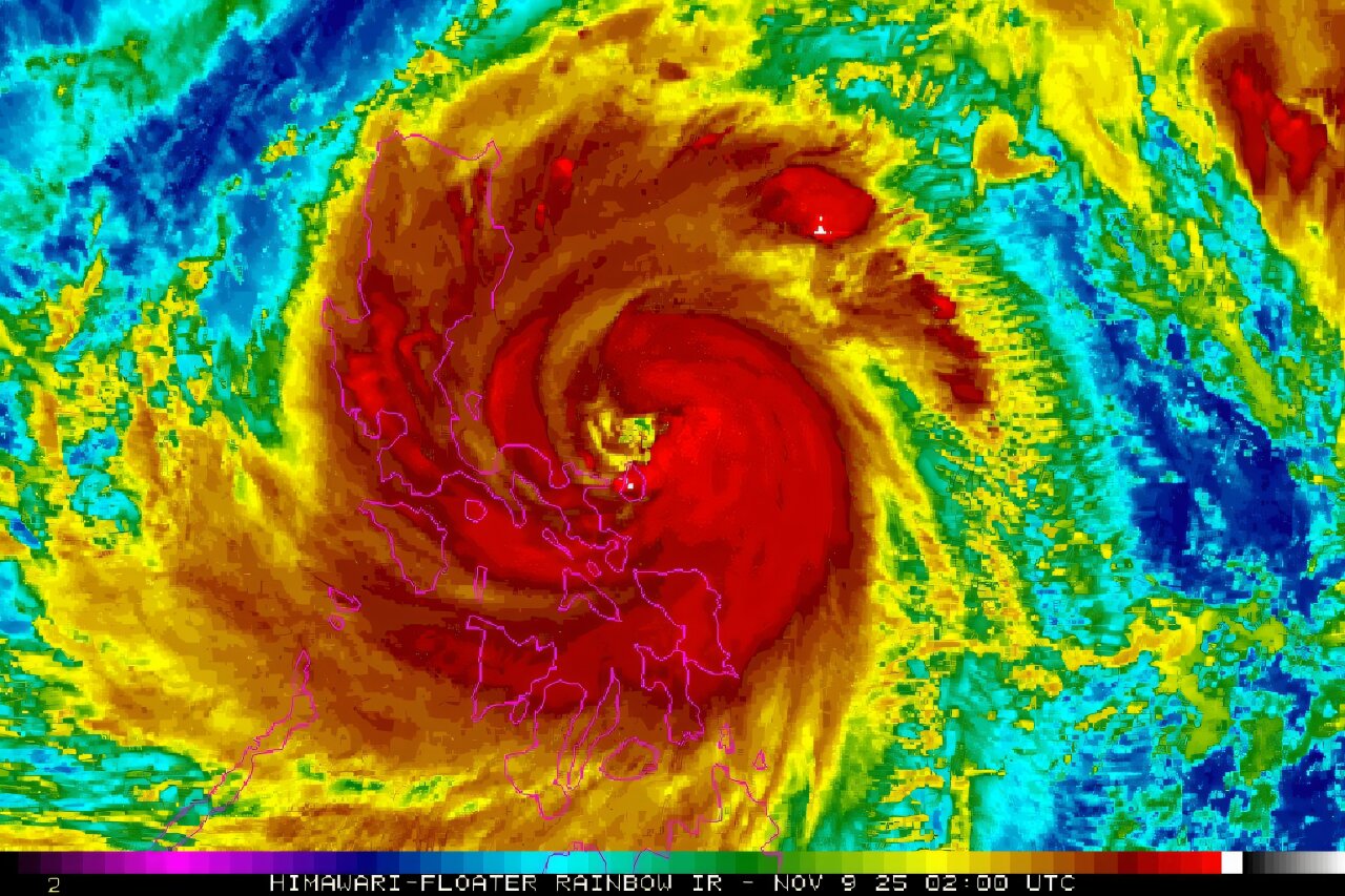
Fung-wong Tayfunu’nun gece geç saatlerde doğu kıyısına ulaşması beklenen Pazar günü Filipinler’de neredeyse bir milyon insan tahliye edildi ve sel suları yükseliyordu.
Devlet hava durumu servisi, başka bir fırtınanın ülkeyi kasıp kavurmasından birkaç gün sonra gelen süper tayfunun, merkeze yakın saatte 185 kilometre (115 mil) rüzgarla batıya doğru ilerlediğini ve saat 11.00 (0300 GMT) itibarıyla saatte 230 km’ye varan rüzgarlarla ilerlediğini söyledi.
Neredeyse tüm Filipinler’i kapsayan bir yarıçapa sahip olan Fung-wong’un, geçen hafta Kalmaegi Tayfunu nedeniyle 220’den fazla kişinin öldüğü takımada ülkesinin geniş bölgelerine rüzgar ve şiddetli yağmur getirmesi bekleniyor.
Şu ana kadar yaklaşık 300 uçuşun iptal edildiği başkent Manila da dahil olmak üzere ana Luzon adasında Pazartesi günü okulların ve devlet dairelerinin kapatılması emri verildi.
Devlet hava durumu servisinin “doğrudan darbe” alabileceğini söylediği küçük bir ada olan Catanduanes, Pazar günü erken saatlerde rüzgar ve yağmurdan etkilendi; fırtına dalgaları kıyı boyunca sokaklara dalgalar gönderiyor ve bazı bölgelerde sel suları yükseliyordu.
Sivil savunma yönetici yardımcısı Rafaelito Alejandro bir basın toplantısında yaptığı açıklamada, “Biz konuşurken, özellikle Catanduanes’te tayfunun etkisini hissediyorlar, çünkü fırtınanın gözü oraya en yakın.” dedi ve ülke çapında 916.863 kişinin tahliye edildiğini ekledi.

Catanduanes’in Virac kasabasında yaşayan 33 yaşındaki Edson Casarino, AFP’ye verdiği demeçte, “Dalgalar sabah 7 civarında kükremeye başladı. Dalgalar deniz duvarına çarptığında yer titriyormuş gibi hissettim.”
“Şu anda şiddetli yağmur yağıyor ve rüzgarın ıslığını duyabiliyorum.”
AFP tarafından doğrulanan video, kasabadaki sel sularıyla çevrili, girişinin yarısına kadar ulaşan bir kiliseyi gösteriyordu.
Alejandro, güney Luzon’un Bicol bölgesinde de su baskını rapor edildiğini belirterek, yetkililerin suyun “Bicol Nehri havzasında yükseleceğini” tahmin ettiğini ekledi.
Bölgenin Albay eyaletinde yaklaşık 80.000 nüfuslu bir kasaba olan Guinobatan’da, doğrulanan videoda şiddetli bir sel sularına dönüşen sokaklar görülüyordu.
Hükümet meteorologlarına göre, Fung-wong tayfunun birçok yerde yaklaşık 200 milimetre (sekiz inç) veya daha fazla yağmur getirmesi bekleniyor.
Bilim insanları, insan kaynaklı iklim değişikliği nedeniyle fırtınaların daha güçlü hale geldiği konusunda uyarıyor. Daha sıcak okyanuslar tayfunların hızla güçlenmesine olanak tanır ve daha sıcak bir atmosfer daha fazla nem tutar, bu da daha fazla yağış anlamına gelir.

‘Çatıları kapatıyoruz’
Cumartesi günü, Catanduanlılar saldırıya hazırlanmak için acele etti; bölge sakinleri evlerini halatlarla bağladı ve çatılarına ağırlık koydu.
Eyalet kurtarma yetkilisi Roberto Monterola, AFP’ye verdiği demeçte, “Çatıları büyük halatlarla bağlama ve rüzgar tarafından uçup gitmemeleri için onları yere sabitleme geleneğimizi yapmaya karar verdiler.”
Luzon’un güneyindeki bir şehir olan Sorsogon’da bazıları kiliseye sığındı.
Maxine Dugan Cumartesi akşamı AFP’ye verdiği demeçte, “Buradayım çünkü evimin yakınındaki dalgalar artık çok büyük. Kıyıya yakın bir yerde yaşıyorum ve orada rüzgarlar artık çok güçlü.”
Sadece birkaç gün önce Kalmaegi Tayfunu, Cebu ve Negros adalarındaki kasaba ve şehirlere sel suları göndererek arabaları, nehir kenarındaki gecekonduları ve devasa nakliye konteynırlarını süpürdü.

Afet veritabanı EM-DAT’a göre 2025’in en ölümcül tayfunu, Pazar sabahı güncellenen hükümet rakamlarına göre en az 224 kişinin ölümüne ve 109 kişinin kaybolmasına neden oldu.
Kurtarma yetkilisi Myrra Daven Cumartesi günü AFP’ye, yaklaşan süper tayfunun, Kalmaegi’nin ölümlerinin çoğuna ev sahipliği yapan Cebu’daki arama ve kurtarma faaliyetlerinin askıya alınmasına neden olduğunu söyledi.
“Kurtarıcılarımızın güvenliğini riske atamayız. Bir sonraki kayıpların onların olmasını istemiyoruz” dedi.



