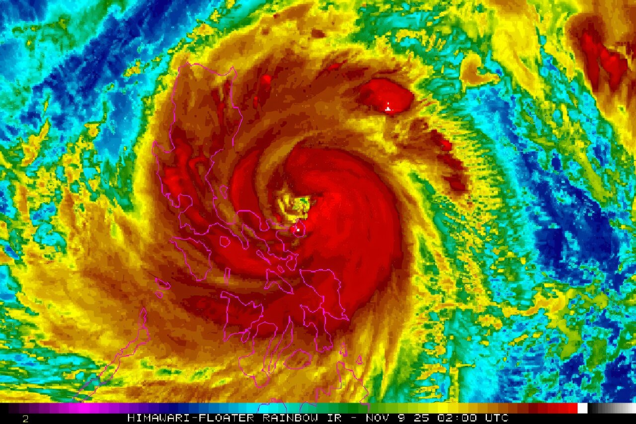
Ulusal hava durumu servisi, Süper Tayfun Fung-wong’un Pazar günü Filipinler’in doğu kıyısına çarptığını, ardından en az iki kişinin öldüğünü ve bir milyondan fazla kişinin tahliyeye zorlandığını söyledi.
Devlet tahmincisinin bildirdiğine göre, yarıçapı neredeyse Filipinler’in tamamını kapsayan fırtına, Luzon’un ana adasındaki Aurora eyaletinde saat 21.10’da (1310 GMT) karaya ulaştı.
Fung-wong’un, geçen hafta Kalmaegi Tayfunu nedeniyle 220’den fazla kişinin öldüğü takımada ülkesinin bölgelerine rüzgar ve şiddetli yağmur getirmesi bekleniyor.
Pazar günü erken saatlerde, orta Filipinler’de halihazırda fırtınadan etkilenen eyaletlerden biri, yeni tayfundan bilinen ilk ölümü kaydetti.
Catbalogan Şehrindeki kurtarıcı Juniel Tagarino, AFP’ye, tahliyeye çalışan 64 yaşındaki bir kadının cesedinin enkaz ve devrilen ağaçların altından çıkarıldığını söyledi.
Tagarino, “Rüzgar çok kuvvetliydi ve yağmur şiddetliydi… Aile üyelerine göre bir şeyi unutup evine dönmüş olabilir.” dedi.
Sivil savunma ofisi daha sonra Catanduanes adasında meydana gelen selde boğulan ikinci bir kişinin öldüğünü doğruladı.
Fırtınanın gözünün karaya vurduğu Aurora’da hükümet çalışanı Aries Ora, Dipaculao kasabasındaki evini çelik levhalar ve ahşap tahtalarla kaplıyordu.
34 yaşındaki kişi Pazar günü erken saatlerde AFP’ye verdiği demeçte, “Bizi gerçekten korkutan şey, beklenen karaya gece vakti ulaşmasıdır.”

“Önceki tayfunlardan farklı olarak rüzgarın hareketini ve etrafımızda olup bitenleri net bir şekilde göremeyeceğiz.”
Daha kuzeyde, Cagayan eyaletinde bir tahliye merkezine sığınan insanlar AFP’ye, sel korkusunun kendilerini evlerini terk etmeye ikna ettiğini söyledi.
Loretta Salquina, “Evimizde sık sık su baskını yaşanıyor, bu yüzden bize tahliye etmemiz söylendiğinde tahliye ettik çünkü mahsur kalacağız” dedi.
“Tayfun çatılarımızı uçurabilir… Burada daha güvendeyiz.”
Yaklaşık 300 uçuşun iptal edildiği başkent Manila da dahil olmak üzere ana Luzon adasında Pazartesi günü okulların ve devlet dairelerinin kapatılması emri verildi.
‘Yer titriyordu’
Devlet hava durumu idaresinin “doğrudan darbe” alabileceğini söylediği küçük bir ada olan Catanduanes, Pazar günü erken saatlerde rüzgar ve yağmurdan etkileniyordu; fırtına dalgaları sokaklara dalgalar gönderiyor ve bazı bölgelerde sel suları yükseliyordu.
Catanduanes’in Virac kasabasında yaşayan 33 yaşındaki Edson Casarino, AFP’ye verdiği demeçte, “Sabah 7.00 civarında dalgalar kükremeye başladı. Dalgalar deniz duvarına çarptığında yer sarsılıyormuş gibi hissettim.”
AFP tarafından doğrulanan video, kasabadaki sel sularıyla çevrili, girişinin yarısına kadar ulaşan bir kiliseyi gösteriyordu.

Sivil savunma yönetici yardımcısı Rafaelito Alejandro’ya göre, daha sonra ülke çapında yaklaşık 1,2 milyon insanın önleyici tahliyesini doğrulayan güney Luzon’un Bicol bölgesinde de su baskını bildirildi.
Bölgenin Albay eyaletinde yaklaşık 80.000 nüfuslu bir kasaba olan Guinobatan’da, doğrulanan videoda sokakların şiddetli bir sel sularına dönüştüğü görülüyor.
Hükümet meteorologlarına göre, Fung-wong tayfunun ülkenin birçok yerine en az 200 milimetre (sekiz inç) yağmur getirmesi bekleniyor.
Bilim insanları, insan kaynaklı iklim değişikliği nedeniyle fırtınaların daha güçlü hale geldiği konusunda uyarıyor. Daha sıcak okyanuslar tayfunların hızla güçlenmesine olanak tanır ve daha sıcak bir atmosfer daha fazla nem tutar, bu da daha fazla yağış anlamına gelir.
‘Çatıları kapatıyoruz’
Cumartesi günü, Catanduanlılar saldırıya hazırlanmak için acele etti; bölge sakinleri evlerini halatlarla bağladı ve çatılarına ağırlık koydu.
Eyalet kurtarma yetkilisi Roberto Monterola, AFP’ye verdiği demeçte, “Çatıları büyük halatlarla bağlama ve rüzgar tarafından uçup gitmemeleri için onları yere sabitleme geleneğimizi yapmaya karar verdiler.”
Sadece birkaç gün önce Kalmaegi Tayfunu, Cebu ve Negros adalarındaki kasaba ve şehirlere sel suları göndererek arabaları, nehir kenarındaki gecekonduları ve devasa nakliye konteynırlarını süpürdü.
Afet veritabanı EM-DAT’a göre 2025’in en ölümcül tayfunu, hükümet rakamlarına göre en az 224 kişinin ölümüne ve 109 kişinin kaybolmasına neden oldu.
Yaklaşan süper tayfun nedeniyle güvenlik endişeleri nedeniyle Cebu’daki arama ve kurtarma çalışmaları Cumartesi günü askıya alındı.



